12221 N Houston Rosslyn, Bldg. A
Houston, Texas 77086

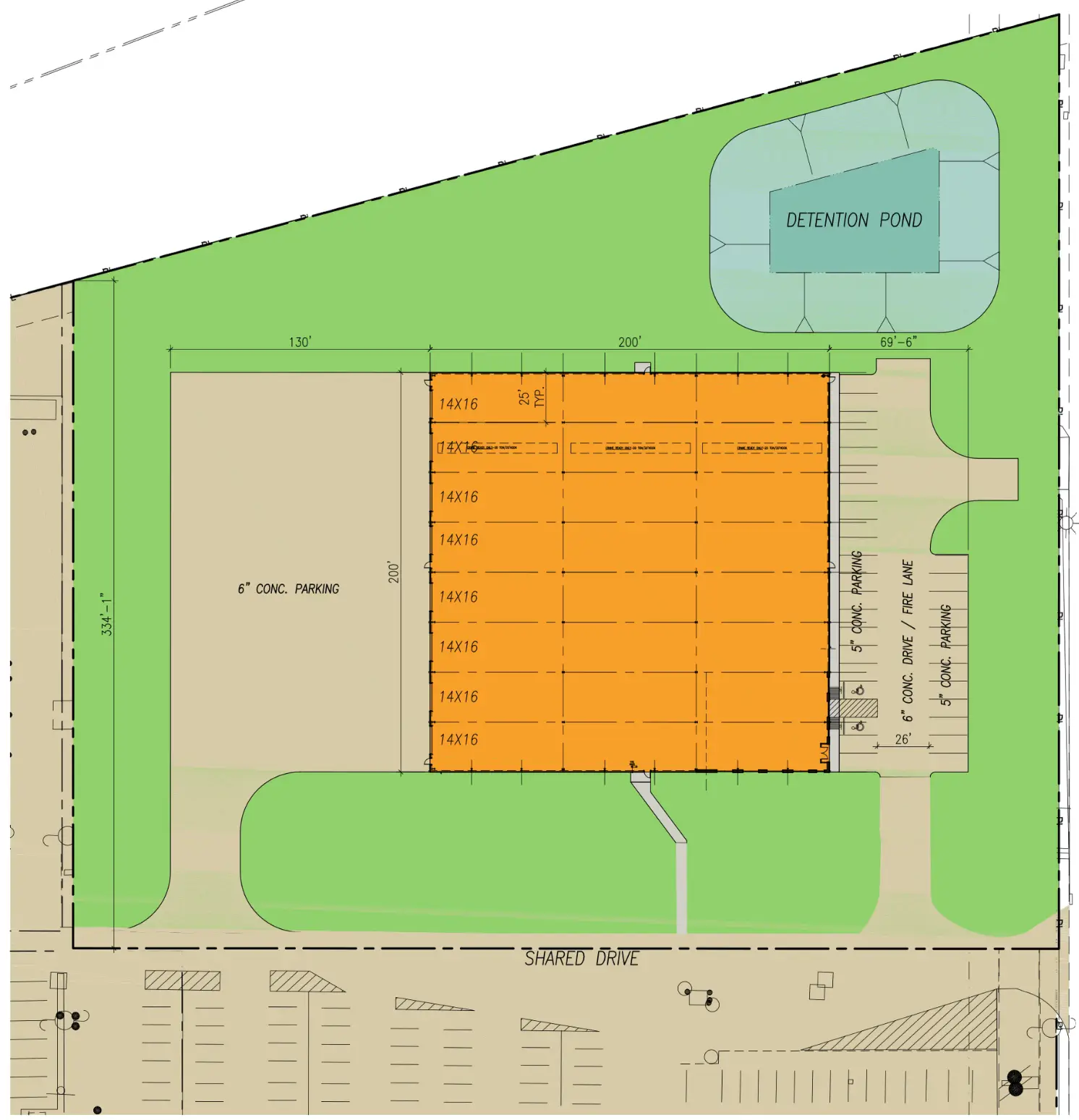
North Houston Rosslyn Business Park, Building A

for additional information, please contact:

Copeland Rhea + Charlie Christ

+1 713 789 2529

crhea@claydevelopment.com

Leasing Flier Download

Screenshot 2025-09-19 101918

Specs

Total Building

Total Office

Total Land

Grade Level Doors

Power

40,000 SF

TBD

4.58 acres

(8) 14′ x 16′

TBD

Crane Ready

Hook Height

Car Parks

Eave Height

Sprinkler

Detention

20-Ton

20′

33

28′

Yes

On-Site