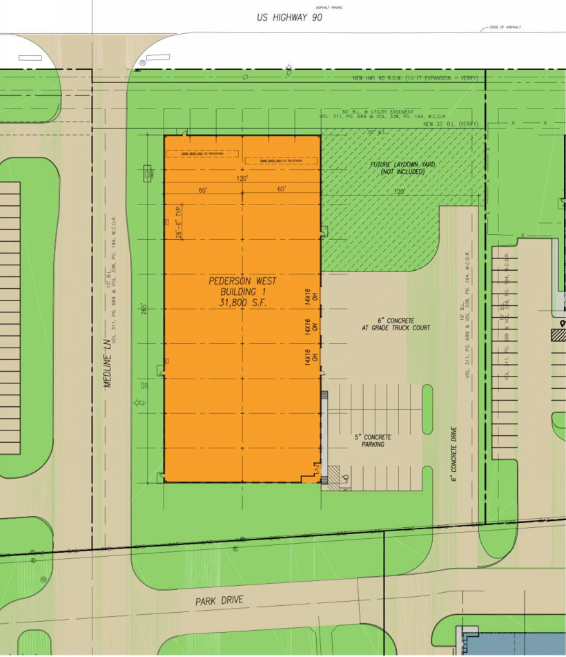
Pederson West Building I

Pederson West Business Park

for additional information, please contact:

Copeland Rhea + Charlie Christ

+1 713 789 2529

crhea@claydevelopment.com

Leasing Flier Download

Highlights

  • 31,800 SF manufacturing building available on 2.45 acres
  • 20 ton crane ready
  • 28 ft eave height, concrete tilt-up panels
  • Located on US Hwy 90, between Pederson Rd. and Brookline Rd.
  • Excellent access to I-10, Grand Parkway and Hwy 290
  • Deed restricted park with professional management
  • City of Katy utilities
  • Regional detention provided
  • ESFR fire sprinkler system available

Specs

  • Total Building: ±31,800 SF
  • Total Office: TBD
  • Total Land: ±2.45 Acres
  • Total Truck Court: ±0.2 Acres
  • (3) 14′ x 16′ OH Doors
  • Power: TBD
  • 20-Ton Crane Ready
  • 20′ Hook Height
  • 23 Car Parks
  • 28′ Eave
  • Sprinkler: ESFR
  • Regional Detention